
@This system measures the number and spacing of concentric rings in otoliths,
equilibrium stones, fish scales, etc.
in the inner ear of fish, and enables statistical processing of the measurement data.
Usage
š™>spanApplication to otolith day ring analysis, scale annual ring analysis,
growth curve/survival curve analysis
feature
šScale patterns can be tracked while adjusting the focus on the live image
- Ring patterns can be marked on the microscope live image.
- Focusing and ring pattern marking can be done at the same time.
- Marking is possible while operating the microscope without the need to freeze the image.
šAutomatic measurement of ring pattern interval and graph display of
ring pattern interval
- The intersecting point between the measurement line and the ring pattern
can be automatically determined,
and the ring pattern interval can be measured automatically.
- Since the ring pattern interval is displayed in a graph in real time,
it is possible to check
for measurement errors on the spot.
šWide-field otoliths can also be measured
- If the ring pattern does not fit in one field of view, it can be measured while moving
the microscope stage and moving the field of view.
- Interlocking with an XY stage with a digital scale is also possible.
šCorrelation between fluorescent label and ring pattern image
- Fluorescent label image and ring pattern image can be superimposed and displayed.
- Clicking on the fluorescent label will display the data of the corresponding measurement point.
šClicking on the fluorescent label will display the data of the corresponding measurement point.
- A dedicated file conversion tool allows you to integrate large amounts of
measurement data into Excel format files.
feature
- Direct input from microscope (micro)
- Live image input function (*Optional ARP/W-RI)
- Graph display function of ring pattern interval (input error check)
- Secondary measurement line setting function/li>
- Automatic detection of ring patterns
- Main measurement line, secondary measurement line correspondence
- Classification (weighting) of measurement points
- Multi-nuclear correspondence
- Response to field of view movement
- Real-time change of objective lens magnification
- Function for associating fluorescent labels with ring pattern numbers
- Alignment for split input
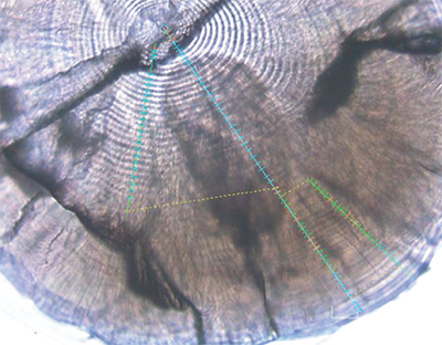
①Spacing between rings
②Cumulative distance from otolith center@
③Otolith diameter
④Number of point bottom rings
- File editing function
- Image save/print
|
|

Points entered on the secondary measurement line are mapped onto the primary measurement line
You can check for input errors on the spot with the ring pattern interval graph.

Measurement example of sardine otoliths
- System configuration
œStandard configuration
- Personal computer ARP/WH
- color digital printer
- color TV camera ARP/TV
- Otolith solar disk/fish scale measurement software ARP/W+RI
- With real-time ring pattern input
- Statistics software@EXCEL
- œOption
- System metallurgical microscope
- XY stage with digital scale
- Exclusive table
- Uninterruptible power system
|